Description
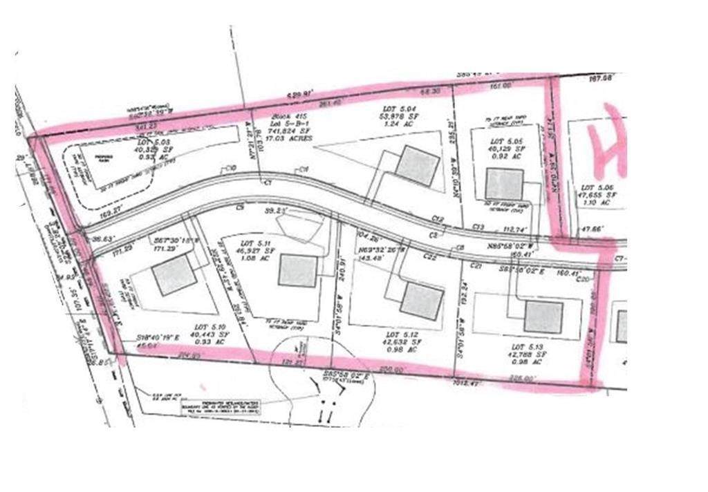
What an Opportunity ! Calling all Builders! 8+ acres for 6 home subdivision located in the most desirable location in North Edison - JP Stevens school district! This property allows for a 6 home subdivision which will not require any variances. By Right subdivision (all conforming) of 6 lots with minimum size 0.92 acre, plus one lot for required retention basin. Each buildable lot is at least 40000 square feet (builders acre) without deed restrictions - Utilities in the street - Please see attached specification sheet and site plan - Owners residence remains at the end of the proposed cul de sac and is not part of the offering
-
0BEDS
-
8.06ACRES
-
0BATHS
-
01/2 BATHS
School Ratings & Info
Description
What an Opportunity ! Calling all Builders! 8+ acres for 6 home subdivision located in the most desirable location in North Edison - JP Stevens school district! This property allows for a 6 home subdivision which will not require any variances. By Right subdivision (all conforming) of 6 lots with minimum size 0.92 acre, plus one lot for required retention basin. Each buildable lot is at least 40000 square feet (builders acre) without deed restrictions - Utilities in the street - Please see attached specification sheet and site plan - Owners residence remains at the end of the proposed cul de sac and is not part of the offering
The data relating to real estate for sale on this web-site comes in part from the
Internet Listing Display database of the CENTRAL JERSEY MULTIPLE LISTING SYSTEM,
INC. Real estate listings held by brokerage firms other than this site-owner are marked with
the ILD logo. The CENTRAL JERSEY MULTIPLE LISTING SYSTEM, INC does not warrant the
accuracy, quality, reliability, suitability, completeness, usefulness or effectiveness of any
information provided. Copyright 2025, CENTRAL JERSEY MULTIPLE LISTING SYSTEM, INC. All rights
reserved. The CENTRAL JERSEY MULTIPLE LISTING SYSTEM, INC
retains all rights, title and interest in and to its trademarks, service marks and copyrighted
material. The information being provided is for consumers' personal, non-commercial use and may not be used for any purpose other than to identify properties the consumer may be interested in purchasing or renting. Data last updated: 2025-12-14T18:03:04.77.